About
About Us
Awards & Rankings
Culture
History
Leadership
Office Locations
Our Companies
Partners
Government Relations
Markets
Aviation
Data Centers
Education
Federal Government
Maritime
Mining
National Security
Parks and Recreation
Private Development
State and Local Government
Transportation
Utilities
Water
Services
Architecture
Engineering
Geospatial
Strategic Consulting
Architecture @ Woolpert
Architectural Design
Construction Services
DesignTech
Facility Condition Assessment
Interior Design
Landscape Architecture
Planning, Programming and Pre-design
Urbanism and Planning
Engineering @ Woolpert
3D Laser Scanning
Advanced Air Mobility
Civil Engineering
Construction Services
DesignTech
Fire Protection and Code Consulting
MEP Engineering
Road and Bridge Design
Sanitary Sewer Evaluation Surveys (SSES)
Structural Engineering
Subsurface Utility Engineering (SUE)
Surveying
Water Monitoring and Modeling
Geospatial @ Woolpert
Advanced Sensor Development
Commercial Airborne Services
Derivative Data Products
Disaster Recovery
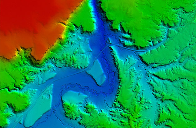
Elevation-Derived Hydrography
Enterprise GIS
Lidar
On-site Support
Photogrammetry and Remote Sensing
Surveying
Unmanned Aircraft Systems (UAS)
Strategic Consulting @ Woolpert
Advisory Services
Facility Planning and Assessment
Rapid Ready by Woolpert
Technology Implementation Services
Products
AirportWorX
DCS CAMACloud
Geocirrus
Google
STREAM:RASTER®
Projects
News
Careers
Careers at Woolpert
Culture
Benefits
Job Postings
Interns & Co-Ops
Contact
Search
The Blog
Technology
Josh Shanks
August 15, 2018